Skip to content

Meet the Turtles of Eri

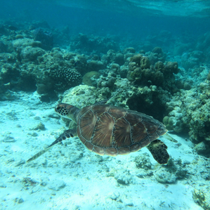
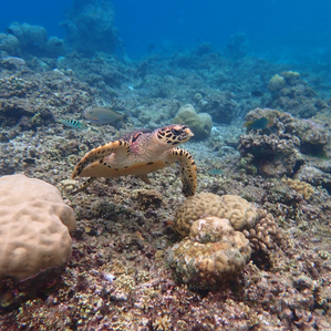
Just steps from the shore, beneath the shimmer of turquoise water, a remarkable community lives among our coral gardens. The turtles of Eri are not just passing visitors. Many are long-time residents of our house reef, each with distinct markings, personalities and stories.

 

From elegant Hawksbill turtles to our very first Green sea turtle, these gentle reef dwellers glide through the corals that surround the island. Some carry unique shell patterns. Others have barnacles or markings that help us recognise them. A few have even been named by guests who encountered them during their stay.

Wellness
Miss Torti

Miss Torti

Miss Torti is a Hawksbill turtle identified by the serrated margins of her carapace and a noticeable split between the rear scutes. A small white mark appears along the back edge of her shell.

Shelby

Shelby

Shelby can be recognised by her distinct serrated shell margins, a defining feature of Hawksbill turtles that makes her easy to spot while snorkelling.

Charlie’s Angel

Charlie’s Angel

Charlie’s Angel has pronounced jagged carapace edges and is often seen gliding calmly along the reef.

Velaa

Velaa

Velaa is identifiable by a visible split between the rear scutes of her carapace, along with her serrated shell outline.

Kahanbu

Kahanbu

Kahanbu displays several white and yellowish spots on the left side of her carapace, as well as a white edge on one central scute. Unlike many Hawksbills, her shell margins are mostly smooth, with a small indentation at the back.

Hank

Hank

Hank is easily recognised by his unusually small right hind flipper, which does not extend beyond his shell. His carapace appears slightly irregular on one side, likely related to this difference.

Lisa

Lisa

Lisa can be identified by two noticeable barnacles beneath her shell, positioned behind her right forelimb.

Farfalle

Farfalle

Farfalle has several white spots across her central and lateral scutes, including a larger white mark on her second central scute and smaller spots toward the rear of her carapace.

Rosie

Rosie

Rosie is a Hawksbill turtle with serrated shell margins and a clearly defined carapace pattern. She was identified and named by a guest.

Cara

Cara

Cara has white patches across parts of her central and lower marginal scutes. Her serrated shell edges reflect the classic Hawksbill form.

Lubi

Lubi

Lubi displays small white markings along the final and right-side marginal scutes of her carapace, along with distinct serrated edges.

Cappuccino

Cappuccino

Cappuccino is recognised by her rich brown-toned carapace and two white spots near the rear marginal scutes, just before the tail.

Waffle

Waffle

Waffle is smaller than most of the resident turtles and was identified and named by visiting guests.

Anna

Anna

Anna can be recognised by two barnacles on her carapace, V-shaped markings on her face, and a distinct V-shaped indentation along the back edge of her shell.

Otto

Otto

Otto is the first Green sea turtle identified at Eri. Smaller in size, he stands out as the only Green turtle among the resident Hawksbills.

[email protected]
Hotline: +960 664 4487
WeChat ID: Pulse-resorts
Whatsapp: +960 729 2820
Eri Maldives, C/O Pulse Hotels & Resorts
M. Kaneeru Villa, Orchid Magu, Male'

Stay Connected

Sign up to receive island stories, offers, and inspiration from Eri.